1、基于洞庭湖区整体二维模型的洪涝灾害模拟研究
近年来,全球气候变暖及大气环流异常使得洞庭湖区洪涝灾害形势更加复杂。本研究基于洞庭湖区水陆域地形数据,运用非结构化网格对洞庭湖湖区进行剖分,并采用有限体积法离散控制方程,首次构建了涵盖洞庭湖区水陆域的整体二维数学模型。相比于湖区河网模型,洞庭湖区整体二维模型能将湖区形成一个有机整体,从而实现湖区内复杂江、湖、河网水动力过程、洪水漫堤溃坝、退田还湖、平原水库、堤垸内排涝提水及湖区内水利工程(如:闸、坝、堤、泵等)建造运行等相关模拟。针对湖区洪涝相伴的特点,在已建立的洞庭湖区整体二维数学模型的基础上,进一步考虑降雨和排涝,对湖区涝渍灾害情况进行模拟分析。详细探究了不同降雨强度对湖区涝渍灾害的影响,并开展了湖区(湖南区)降雨排涝对洞庭湖内洪水过程的影响研究,对湖区洪涝灾害评价、预报及防洪防涝治理有着重要意义。
 






 
2、基于人工智能的湖区水位快速预报技术
洪水预报在防汛减灾中起着十分重要的作用。随着大数据时代的到来,基于数据驱动的人工智能模型在水文预报过程中受到了广泛的关注和应用。人工智能模型是通过对数据本身直接进行研究分析,总结数据所隐含的知识或规律,因此可避免人类对物理规律认识的局限及模型的概化和假定带来的误差。
      通过将洞庭湖区“四水”控制站点(湘潭、桃江、桃源、津市)及枝城站点水位数据作为输入参数,并以城陵矶站点水位作为输出变量,采用人工神经网络模型(ANN),构建湖区水位智能预报模型,采用湖区历年水位流量大数据对模型进行训练及验证,结合蚁群算法(ACO),提高模型的预报速度与精度,实现湖区水位快速精准预测功能。

 
3、基于无人机航测技术的辰溪县城市洪水演进模拟研究
城市化建设的快速推进改变了城市区域的暴雨径流条件,造成区域径流总量增加、洪峰流量增大以及汇流速度加快等城市水文效应。目前,大部分城市前期规划不够完善,城市基础性设施抗洪能力薄弱,城市防洪成为当前城市水文、水力学研究的热点问题。洪水是一种由重力驱动的地表流,城区具有复杂的地表形态(建筑物、车辆、十字路口等),高精度和高分辨率的地形数据是城市洪水研究的基础。研究基于无人机航测技术获取城市高精度DEM数据,采用数值模拟方式,针对不同洪峰流量情形下的辰溪县洪水演进过程和淹没范围进行分析研究,探讨洪峰前不同时间段的淹没范围和淹没水深,为人员财产撤离提前预警;同时,绘制城市洪水风险图,为城市的防洪设施建设与投资风险评估提供科学依据。研究表明基于无人机航测技术的城市洪水数值模拟方式有助于提高洪水灾害的认知,为城市防洪减灾提供技术支撑。
      



 
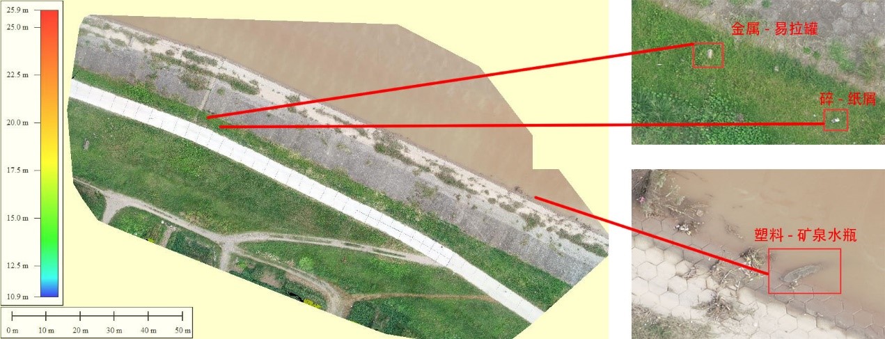
4、无人机+图像深度学习算法在洞庭湖区域环境巡查中的应用
环境问题是发展中国家要面对的首要难题,在发展基础建设的同时,环境不可避免的遭到破坏。我国有大量生活垃圾未能处理,散落在各个角落污染河流,给洞庭湖区居民生活带来严重危害。本研究使用无人机对洞庭湖区岸边垃圾进行图像采集,针对沅江新拐河、松滋东支、虎渡河、藕池河西支、藕池河东支、岳阳城陵矶港洞庭湖入口、八仙桥新墙河、南渡汨罗河、樟树港河等采样点进行低空采样,应用于自建图像训练库,利用Inception-v3模型检目标,同时标定深度学习图像数据库。由于垃圾种类繁多,研究将其分为6类,分别为玻璃、金属、塑料、废纸、纸板以及生活废弃物,利用高质量图片进行训练测试,满足近距拍摄下的识别。后续将围绕增加数据类型的模型训练,修改模型参数和性能,以期帮助从事河岸巡检的工作人员降低垃圾分类成本,提高分类垃圾的工作效率。



 


 
 5,基于多源数据的流域景观生态时空风险评估及热环境效应反演
多源数据,包括各种遥感及非遥感数据,具有比单一数据获取更全面、更准确、更丰富信息的特点,目前已被学术界广泛应用。随着人类活动加剧,快速的环境变迁和复杂的湖垸、江湖关系使得湖区景观界面脆弱性表现得特别突出,综合考虑流域演变及人类活动影响等多因素作用的景观生态风险评估显得尤为重要。本研究基于多源数据,采用ArcGIS、Fragstats等软件运算处理,构建景观生态风险评价模型,并分析洞庭湖区景观生态风险的时空分布格局及其演化特征。研究结论为深入探究湖区与流域生态系统格局形成过程与机理提供科学依据。同时,基于多源空间数据,开展流域城镇密集区热环境效应反演研究,辨析识别自然—人文多维因子与热环境效应的联动关系及形成机制。基于多源数据有助于揭示流域景观生态、热环境空间格局及演变规律,深化对形成机理及成因的分析认知。成果受到同行专家的关注和认可,在“Frontiers of Earth Science、Atmospheric Pollution Research、Journal of Geographical Sciences、地理学报、中国环境科学、长江流域资源与环境”等发表论文8篇,其中SCI收录3篇,权威期刊2篇,培养硕士研究生2名。
      



